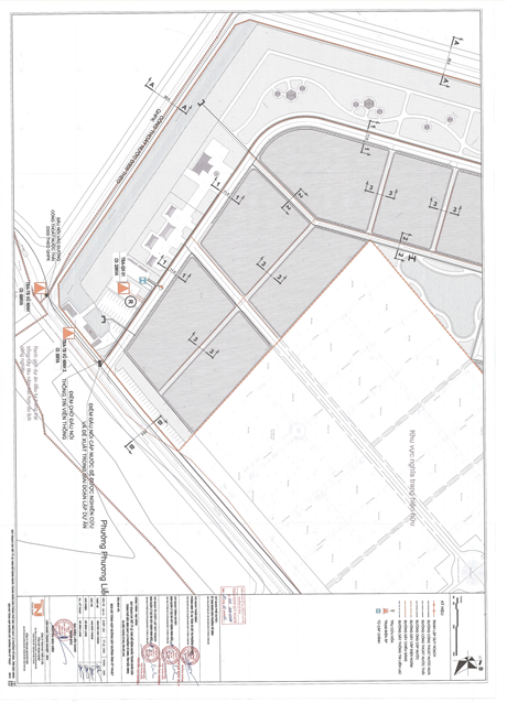
Phạm vi lập quy hoạch chi tiết: Bao gồm phần mở rộng nghĩa trang hiện hữu về phía Tây, với ranh giới được xác định như sau:
+ Phía Bắc: Giáp đất nông nghiệp;
+ Phía Nam: Giáo đất nông nghiệp, đường hiện trạng;
+ Phía Tây: Giáp đất nông nghiệp;
+ Phía Đông: Giáp nghĩa trang nhân dân thành phố hiện hữu